Prezentuje Państwu na sprzedaż działkę rolną nr 418/2 o powierzchni 12,9425 ha, położoną w urokliwej okolicy wsi Pierstnice, gmina Krośnice, powiat milicki. Działka posiada pełną własność.
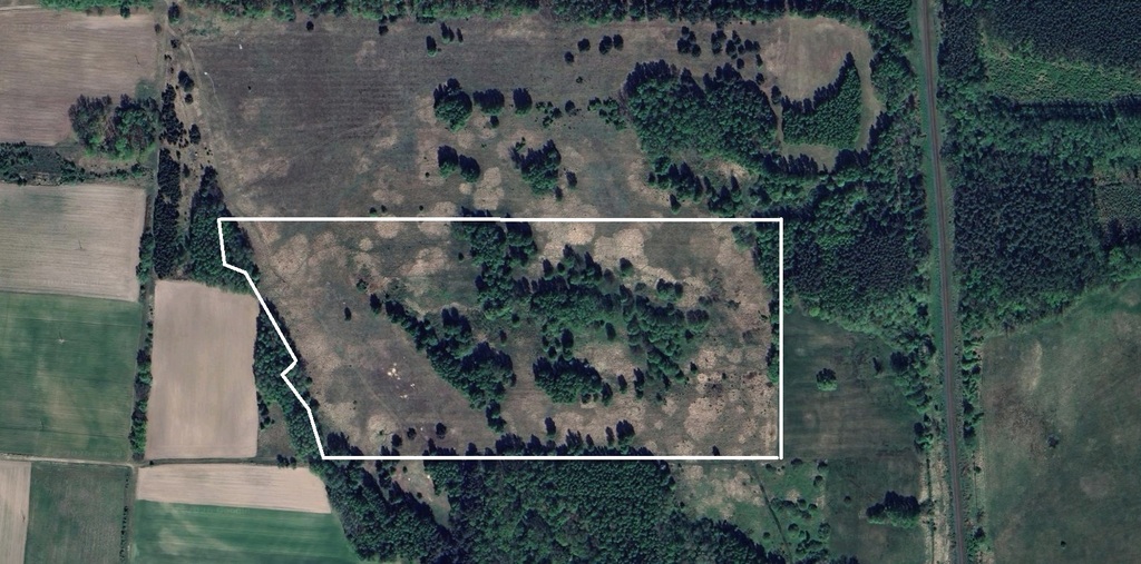
Teren ma nieregularny kształt, granice zmieniają kierunek kilkukrotnie, co nadaje działce charakterystyczny układ. Składa się z różnych klas gruntów rolnych: RVI, RIVa, RIIIb, RV, ŁV oraz PsVI. Dzięki temu działka oferuje zróżnicowany potencjał użytkowy – od upraw polowych po pastwiska lub możliwość realizacji drobnych inwestycji rolnych zgodnie z MPZP.
Na niewielkiej części działki zlokalizowane jest udokumentowane stanowisko archeologiczne nr 5/14/73-32. Prace ziemne w tym fragmencie wymagają uzgodnienia z Dolnośląskim Wojewódzkim Konserwatorem Zabytków oraz ewentualnych badań archeologicznych. Pozostała część działki nie jest objęta ograniczeniami archeologicznymi.
Działka znajduje się w obszarze objętym MPZP gminy Krośnice (symbol 30RN). Dokumentacja obejmuje projekt podziału działki, wyrys i wypis z MPZP.
Zapraszam do kontaktu.
Jot-Be Nieruchomości
Imię i Nazwisko: Wojciech Jodłowski
Tel: 609222532
e-mail: wjodlowski@jot-be.pl
Jako agent JOT-BE NIERUCHOMOŚCI zapewniam Państwu uniknięcie niepotrzebnego ryzyka i przeprowadzenie korzystnej transakcji.
Gwarantuję rynkowe ceny, bezpieczeństwo i obsługę własnego działu prawnego. Stosuję system jakości Polskiej Federacji Rynku Nieruchomości Expert oraz Kartę Praw Klienta Pośrednika. Służę życzliwym zaangażowaniem, ekspercką wiedzą i najwyższym poziomem usług opartym o 43-letnie doświadczenie biura JOT-BE NIERUCHOMOŚCI.
Niniejsza oferta nie jest ofertą w rozumieniu przepisów Kodeksu Cywilnego.